ifac | Opbrengsteigendom | Opportunit... | 12304

Opportunité d’investissement de 2 habitations à vendre à 3080 Tervuren.

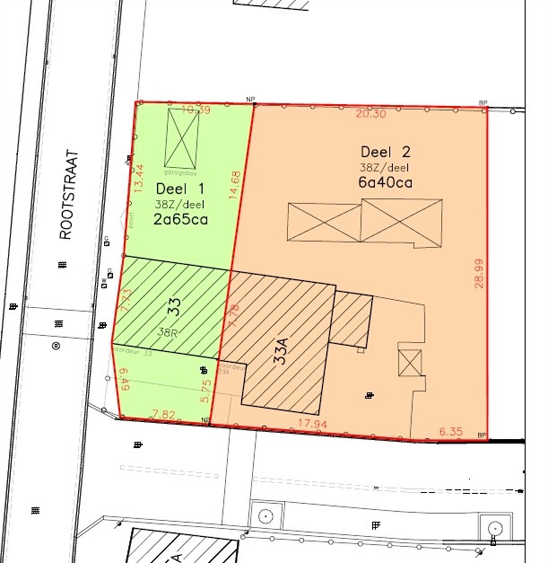
Rootstraat 33 + 33A, 3080 Tervuren
6 chambre(s) à coucher
2 salle(s) de bain
905 m² surface du terrain
2 garage(s)
  • REF. 12304
  • Rootstraat 33 + 33A, 3080 Tervuren

Description

Ensemble polyvalent composé de deux habitations existantes en construction semi-ouverte à vendre à proximité du centre de Duisburg.

Il s’agit de deux habitations existantes à rénover en construction semi-ouverte, offrant différentes possibilités de développement. Après concertation avec la commune, de nombreuses possibilités existent pour, par exemple, créer deux spacieuses maisons unifamiliales, une habitation avec cabinet professionnel, un espace commercial avec logement, etc., dans un emplacement très favorable à proximité du centre de Duisburg.

Habitation 1 (n° 33):

Rez-de-chaussée : séjour d’environ 36 m² avec deux poêles à gaz, cuisine équipée (taque de cuisson, réfrigérateur, four et lave-vaisselle) d’environ 13 m², hall avec escalier menant à l’étage.

1er étage : hall de nuit, deux chambres d’environ 11 m² et une chambre d’environ 13 m² dont une avec salle de bain ensuite (douche dans baignoire avec un lavabo et WC) d’environ 8 m², espace de rangement d’environ 11 m² avec accès au grenier (environ 10 m²).

Cave d’environ 20 m² et garage box d’environ 15 m².

Informations complémentaires : bien non conforme aux normes amiante, installation électrique conforme, PEB F → obligation de rénovation.

Habitation 2 (n° 33A):

Rez-de-chaussée : spacieux hall d’entrée d’environ 19 m² avec escalier fixe vers l’étage, séjour d’environ 31 m², cuisine équipée (taque de cuisson, réfrigérateur, four et lave-vaisselle) d’environ 6,5 m², salle à manger d’environ 10,5 m² et véranda avec WC d’environ 12 m².

1er étage : hall de nuit d’environ 14 m², trois chambres d’environ 9,7 m², 9,8 m² et 17,5 m², salle de bain d’environ 5,8 m² avec dressing attenant d’environ 6 m², trappe avec escalier escamotable donnant accès au grenier (environ 55 m²).

Cave d’environ 15 m² et garage d’environ 19 m².

Informations complémentaires : bien non conforme aux normes amiante, installation électrique non conforme, PEB D = pas d’obligation de rénovation.

 

Situation stratégique à distance de marche du centre, à proximité des transports en commun, des axes routiers importants et des centres de Vossem et Tervuren.

La quote-part des frais de mesurage et de bornage du terrain est à charge de l’acheteur et s’élève à 500 € par bien.

 

Après concertation avec la commune, ces biens offrent de nombreuses possibilités de développement.

En savoir plus

Caractéristiques

Général

Référence 12304
Type Immeuble de rapport
Subtype Immeuble de rapport
État Non Communiqué
Adresse Rootstraat 33 + 33A, 3080 Tervuren
Superficie des terres 905 m²
Nombre de chambres 6
Nombre de salles de bains 2
Nombre de toilettes 4
Nombre de garages 2

confort

Chauffage (type) Individuel
Chauffage Non communiqué
Vitrage Double vitrage

mise en page

Cave(-1)
Cave 15m²
Cave 20m²
Rez-de-chaussée
Hall d'entrée 19m²
12m²
Garage 19m²
Salle à manger 10.5m²
Cuisine 6.5m²
Séjour / salon 31m²
Hall d'entrée 6m²
Débarras 9m²
Garage 15m²
Cuisine 13m²
Séjour / salon 36m²
Terrasse 15m²
Grenier
Grenier 55m²
Grenier 11m²
Premier étage
Salle de bains 1 5.8m²
Chambre à coucher 1 17.5m²
6m²
Chambre à coucher 2 9.7m²
Chambre à coucher 3 9.8m²
Hall de nuit 14m²
Salle de bains 1 8m²
Hall de nuit 4m²
Chambre à coucher 4 13m²
Chambre à coucher 5 11m²
Chambre à coucher 6 11m²

construction

Construire 3 façades
État Non Communiqué
Toit Toiture en pente
Orientation de la façade arrière Sud

Performance énergétique

Étiquette EPC 365
Valeur EPC 365 kWh/m²/jaar
Référence EPC 3775691-RES-1
Certificat d'électricité Non

Informations sur l'urbanisme

Désignation en urbanisme Zone rurale résidentielle
Permis d'urbanisme Oui
Assignation et demande de dommages-intérêts Pas applicable
Droit de préemption Oui
Permis de lotissement Oui
G-score A
P-score A

Een vraag?